• Bahamasound 18 Lot #17204
11 Photos

Bahamasound 18 Lot #17204

  • Villas
  • 10,000 sq.ft.

Property reference: b462-65168

Features

  • Property Size 10,000 sq.ft.
  • No of bedrooms Studio
  • Built-up Area 10 Sq.Ft.
  • Category Villas

Property Overview

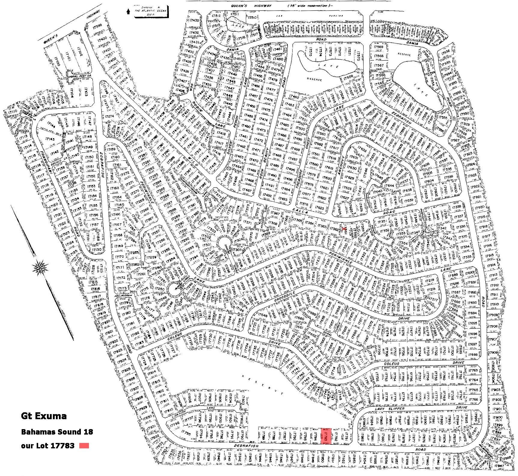
Vacant single-family lot located in Bahama Sound 18, a rapidly developing subdivision adjacent to Jolly Hall and Hooper’s Bay. Conveniently situated approximately 15 minutes from George Town and 20 minutes from Exuma International Airport, with grocery and hardware stores, liquor stores, a pharmacy, restaurants, and schools all within close proximity. Public beach access is within walking distance. Most utilities are available at the lot; water to be supplied via private well. An excellent opportunity to build in a desirable Exuma community. The neighboring lot (17205) is also available.

Read more

Map View

BSD 40,000
Bahamasound 18 Lot #17204
  • Villas
  • 10,000 sq.ft.
Property
Schools
Restaurants
Hospitals
Parks

    Location & Nearby

    • Locations
    • Schools
    • Restaurants
    • Hospitals
    • Parks

    Similar Properties